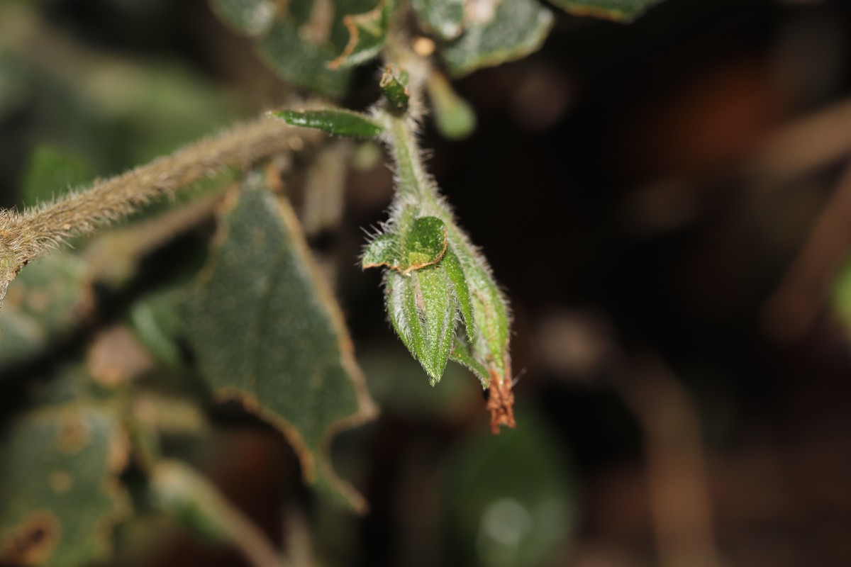
Botanical Name / Strobilanthes arnottiana Nees

Group: 1 Angiosperms (Flowering Plants) - I - Dicotyledons Family: Acanthaceae Genus: Strobilanthes
Common sinhala name
Nelu
Habit
Shrub
Origin
Endemic
Conservation status
CR-Critically Endangered
Legal status
Protected
Similar species
All vernacular names
Strobilanthes arnottiana Nees
Featured image
Strobilanthes arnottiana Nees
Contributors for Images
Tithira Lakkana (ID-TL), Buddhika Mawella (ID-BM) FlowerSL (ID-PMR) Bhathiya Gopallawa (ID-BG)- IDA 100%
Strobilanthes arnottiana Nees



FLORA AND FAUNA SL (GUARANTEE) LTD. 93/A/18
2nd Lane, Bandaranayakepura, Idigolla, Gampaha.

(033) 222 8823,

071 914 3228

floraofsrilankapmr@gmail.com